◤いつもと変わらず♪◢ 2025年10月31日
10月31日(金)
天気:曇り時々雨 風:南→北
気温:28℃ 水温:28℃
10月もあっという間に終わり最後の日になりました。夏の時期はビーチメニューを3行程で行っていましたが明日の11月からは午前と午後の2行程に変わります。そんな10月最後の日は奄美に前線が通り過ぎて行き一日を通して雨が降ってました。ウミガメシュノーケルの時も雨は降るものの、水中はいつもと変わらず今日ものんびりしてるウミガメたちに出会うことができました♪

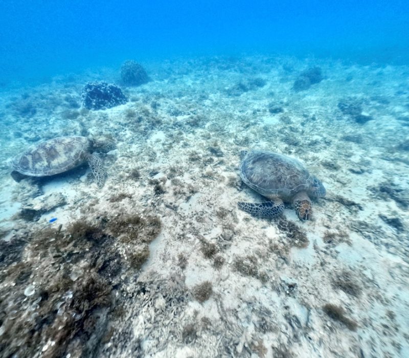
雨による濁りを心配してましたが全然問題ありませんでした!なんなら午前中はスコーンと奥まで見えるくらい綺麗♪とても探しやすい海況で今日は少し進んだ先で海藻を食べてるアオウミガメを発見☆

比較的ウミガメが多いビーチなのでウミガメとの遭遇率はとても高いです。運が良いと複数で居ることも!ウミガメは基本的には単独行動ですが、たまたま二匹近くにいると仲良く食事してるみたいで可愛いですね♪

ウミガメシュノーケルは3歳の小さいお子様から参加可能です。今日はなんと3歳の男の子が参加してくれました!まだ水に顔をつけるが苦手でも泳げなくても大丈夫!水中を観察することができるボディボートタイプの浮き輪があるのでそちらに乗っていただければOK!ご家族で楽しむことができます。この時期からはウェットスーツを着用して泳ぐので寒さも心配ありません♪ぜひウミガメと一緒に泳ぐ夢を叶えちゃいましょう!ご参加お待ちしてます!!
↓ウミガメシュノーケルについてはコチラから♪↓
https://amami-diving.com/plan/marin.html
 
							 
							 
						 
						 
						 
		